Ga naar inhoud

Prestige 23

7007 DC Doetinchem

Verkocht

€ 414.500,- Vrij op naam

  1. Home>
  2. Nieuwbouw>
  3. >
  4. Prestige 23

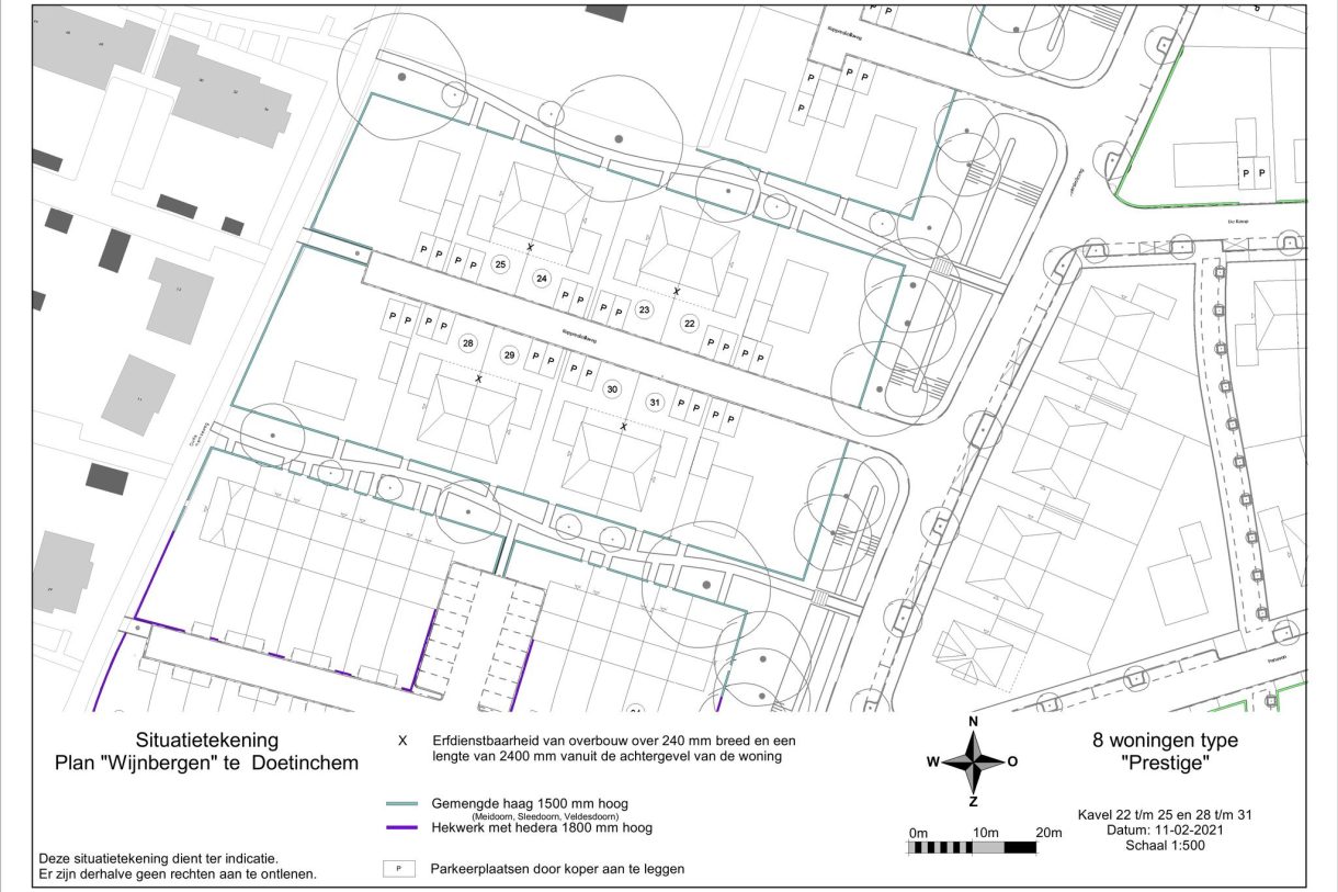
WONINGMODEL PRESTIGE
De woningen van het model Prestige zijn in de basis 6,54 meter breed en 10,74 meter diep en staan op een prachtige plek. Aan de voorkant is het geheel autovrij, want de voortuinen grenzen direct aan een wandelpad en veel groen met bomen. Je auto kun je aan de achterkant parkeren en daar is ook de ingang van de berging. Wil je nog meer ruimte voor een extra grote woonkeuken met kookeiland? Kies dan voor een 1,20 of 2,40 meter verlenging aan de tuinzijde. De kaveloppervlakte van het model Prestige varieert van circa 282 m2 tot en met 291 m2.

De eerste verdieping van deze woning heeft drie slaapkamers en een luxe badkamer met een ligbad, een douche, een wastafel en een tweede wandcloset. Op zolder staan de technische installaties, en is de aansluiting van de wasmachine. Hier zou je ook opbergkasten en een strijkplank kwijt kunnen. Woningmodel Prestige biedt voldoende mogelijkheden!

Naast de vele mogelijke opties worden deze woningen al zéér compleet opgeleverd:
– Inclusief keukencheque
– Inclusief badkamer en toilet met sanitair en tegelwerk
– Inclusief bodemwarmtepomp (gasloos wonen)
– Inclusief vloerverwarming en -koeling op de begane grond en de eerste verdieping
– Inclusief Triple HR+++ glas in de complete woning
– Inclusief zonnepanelen
– Inclusief gemetselde berging
– Super duurzaam en klaar voor de toekomst: Conform de allerlaatste BENG-eisen
– Royale tuinen

  • 158 m2
  • 282 m2
  • 3

Overdracht

StatusVerkocht
Prijs€ 414.500,- Vrij op naam

Oppervlaktes en inhoud

Gebruiksoppervlakte158 m2
Inhoud640 m3

Bouw

SoortEengezinswoning
Dak typeZadeldak
IsolatievormenVolledig geïsoleerd, Driedubbel glas

Indeling

Aantal verdiepingen3
Aantal kamers4
Aantal slaapkamers3

Maandlasten

Ligging

Marktcijfers van Doetinchem

Gemiddelde verkoopprijs in Doetinchem

Landelijk gemiddelde: € 318.796,-

Gemiddelde vraagprijs in Doetinchem

Landelijk gemiddelde: € 336.310,-

Gemiddelde verkooptijd in Doetinchem

Landelijk gemiddelde: 22

Gemiddeld aangeboden in Doetinchem

Landelijk gemiddelde: 4081

Gemiddeld aantal verkocht in Doetinchem

Landelijk gemiddelde: 8726

Gemiddelde prijs/m2 in Doetinchem

Landelijk gemiddelde: 2.770