Ga naar inhoud

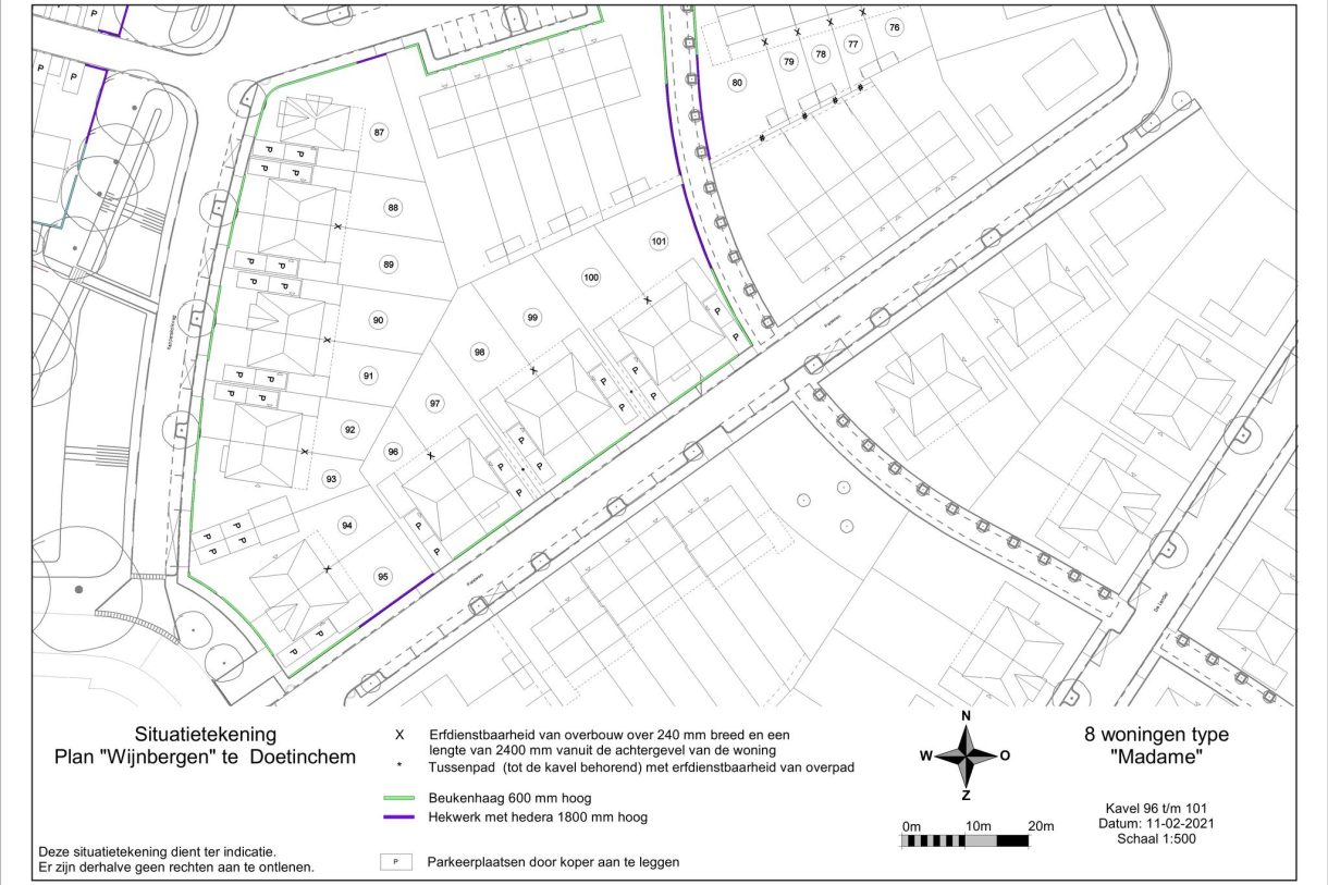
Madame 98

7007 DC Doetinchem

Verkocht

€ 420.000,- Vrij op naam

  1. Home>
  2. Nieuwbouw>
  3. >
  4. Madame 98

WONINGMODEL MADAME
De woningen van het model Madame zijn in de basis 6,54 meter breed en 10,74 meter diep en hebben een elegante uitstraling met een mooie lichte steen. De voordeur is aan de zijkant van het huis en daar heb je ook voldoende plaats om je auto te parkeren. Aan de straatzijde van de woning is ruimte voor een gezellige zithoek en de tuinzijde is de perfecte plek voor een mooie woonkeuken. Wil je nog meer woonruimte voor een extra grote woonkeuken met kookeiland? Kies dan voor een 1,20 of 2,40 meter verlenging aan de tuinzijde. De kaveloppervlakte van het model Madame varieert van circa 239 m2 tot en met 345 m2.

De eerste verdieping van deze woning heeft drie slaapkamers en een luxe badkamer met een ligbad, een douche, een wastafel en een tweede wandcloset. Ook op de zolder van deze woning heb je volop ruimte en mogelijkheden. Kies je voor een zitje of misschien wel een handige werkplek? Woningmodel Madame biedt voldoende indelingsmogelijkheden!

Naast de vele mogelijke opties worden deze woningen al zéér compleet opgeleverd:
– Inclusief keukencheque
– Inclusief badkamer en toilet met sanitair en tegelwerk
– Inclusief bodemwarmtepomp (gasloos wonen)
– Inclusief vloerverwarming en -koeling op de begane grond en de eerste verdieping
– Inclusief Triple HR+++ glas in de complete woning
– Inclusief zonnepanelen
– Inclusief (aangebouwde) gemetselde berging
– Super duurzaam en klaar voor de toekomst: Conform de allerlaatste BENG-eisen
– Royale tuinen

  • 157 m2
  • 345 m2
  • 3

Overdracht

StatusVerkocht
Prijs€ 420.000,- Vrij op naam

Oppervlaktes en inhoud

Gebruiksoppervlakte157 m2
Inhoud638 m3

Bouw

SoortEengezinswoning
Dak typeZadeldak
IsolatievormenVolledig geïsoleerd, Driedubbel glas

Indeling

Aantal verdiepingen3
Aantal kamers4
Aantal slaapkamers3

Maandlasten

Ligging

Marktcijfers van Doetinchem

Gemiddelde verkoopprijs in Doetinchem

Landelijk gemiddelde: € 318.796,-

Gemiddelde vraagprijs in Doetinchem

Landelijk gemiddelde: € 336.310,-

Gemiddelde verkooptijd in Doetinchem

Landelijk gemiddelde: 22

Gemiddeld aangeboden in Doetinchem

Landelijk gemiddelde: 4081

Gemiddeld aantal verkocht in Doetinchem

Landelijk gemiddelde: 8726

Gemiddelde prijs/m2 in Doetinchem

Landelijk gemiddelde: 2.770