Ga naar inhoud

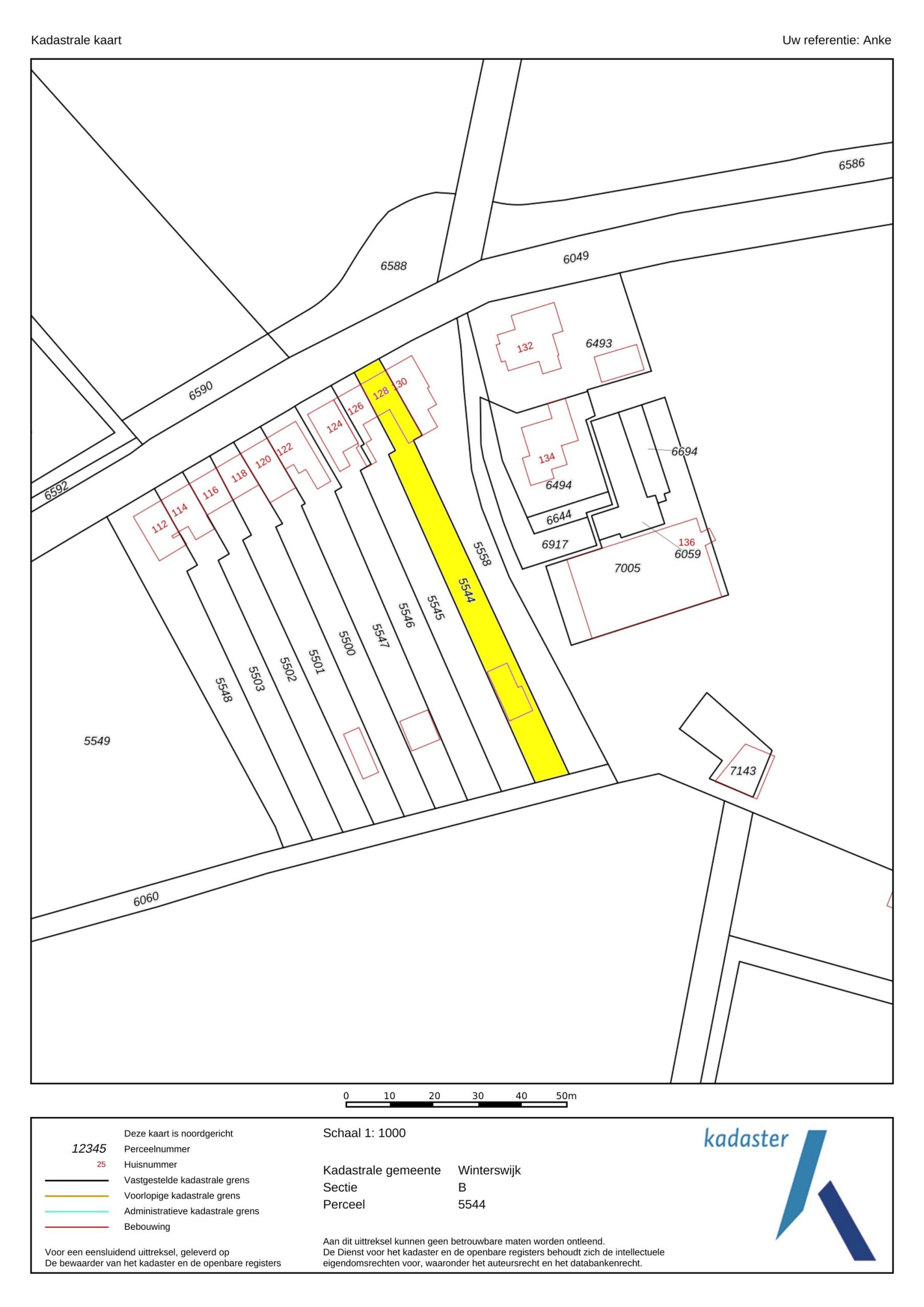
Te koop: woonhuis Vredenseweg 128 7101 LS Winterswijk

Eggink Maalderink Garantiemakelaars
Neem contact met mij op

Verkocht

€ 349.000,- k.k.

bied op deze woning

Op een prachtige plek, op de grens van Winterswijk en Henxel, staat deze goed onderhouden woning met vier slaapkamers en een grote garage/hobbyruimte.

De charmante voorgevel laat niet zien hoeveel ruimte deze woning biedt. Dit geldt ook voor de tuin op het zonnige zuiden, die meer dan 50 meter diep is. Het uitzicht aan de voorzijde is om in te lijsten en ook aan de achterzijde is de ligging geweldig. Het voordeel van het wonen op deze plek is dat je buiten woont, maar toch met alle voorzieningen op een paar minuten fietsen of lopen. Scholen, sport, winkels en openbaar vervoer; het is er allemaal. Neem de wandelschoenen maar mee, want als je bij deze woning gaat kijken is de kans groot dat je omgeving gaat verkennen!

Indeling:
Begane grond:
Welkom in de hal van deze woning, waar het daglicht rijkelijk naar binnen valt. Aan de rechterzijde vinden we de meterkast en de trap naar de eerste verdieping. De grijze laminaatvloer ligt niet alleen hier, maar ook in de woonkamer. De vloer van de keuken en bijkeuken zijn voorzien van een Pvc-vloer. De woonkamer heeft een mooie verdeling tussen het zit- en het eetgedeelte. Vanaf de bank kijkje niet alleen naar de tv, maar ook naar het prachtige landschap aan de overzijde van de weg. Leuk detail is het stalraam, dat voor extra lichtinval in de keuken zorgt. Het eetgedeelte is aan de achterzijde gelegen, met een meer dan 50 meter diepe tuin als uitzicht. Er is genoeg plek om een 6-persoonstafel neer te zetten, vlak naast de keuken. Ook in de keuken plek voor een tafel, bijvoorbeeld voor het ontbijt en de lunch. De keuken in hoekopstelling heeft een ingebouwde gaskookplaat, afzuigkap, vaatwasser, combimagnetronoven en een koelkast. In het verlengde van de keuken is de bijkeuken gesitueerd, waar de wasmachine en de wasdroger kunnen staan. Achter de deuren met het berglandschap zijn de toiletruimte en badkamer gelegen, beide in 2020 vernieuwd. De badkamer is ingedeeld met een royale inloopdouche, tweepersoonswastafelmeubel en een hoge kast. De aansluitende berging is vanuit de tuin bereikbaar.

Eerste verdieping:
De ruimte op de eerste verdieping is optimaal ingedeeld, met vier slaapkamers. Er zijn twee slaapkamers aan de voorzijde en twee aan de achterzijde gelegen, elk met een dakkapel. De twee grootste slaapkamers liggen aan de voorzijde, waardoor je wakker wordt met een prachtig uitzicht.

Tuin:
Een van de pluspunten van deze woning is de meer dan 50 meter diepe tuin op het zuiden. Bij de woning ligt een terras en achter het achterpad het tweede terras en tevens grootste deel van de tuin. Het in hout uitgevoerde overdekte terras is een geliefde plek bij de bewoners en het grasveld is de perfecte speelplek voor kinderen.

Garage en berging:
De garage en dubbele berging hebben een totale oppervlakte van circa 52 m2, exclusief de zolder boven de garage. Perfect voor de auto, motor, (kinder-)fietsen en voor andere spullen! Ook een praktijk of kantoor aan huis is denkbaar voor deze royale garage/berging. Voor de garage zijn er parkeermogelijkheden voor meerdere auto’s en via het weggetje rij je richting de Bataafsemolen, waar je de Bataafseweg bereikt.

Bijzonderheden:
– Dak-, gevel- en vloerisolatie (1988);
– Kunststof kozijnen (begane grond) met HR++ glas en houten kozijnen (boven) met HR-glas;
– Verwarming en warm water via een HR-ketel (AWB, 2006);
– Grote garage/hobbyruimte, gebouwd in 2004;
– Meer dan 50 meter diepe tuin op het zuiden;
– Parkeergelegenheid voor meerdere auto’s op eigen terrein;
– Prachtige ligging op de grens van Winterswijk en Henxel, met vrij uitzicht aan de voorzijde;
– Energielabel C.

  • 102 m2
  • 750 m2
  • 4

Kenmerken Vredenseweg 128

Overdracht

Vraagprijs€ 349.000,- k.k.
AanvaardingIn overleg

Oppervlaktes en inhoud

Perceel oppervlakte750 m2
Woonoppervlakte102 m2
Inhoud415 m3

Bouw

SoortEengezinswoning
BouwvormBestaande bouw
Bouwjaar1925
Dak typeZadeldak
IsolatievormenMuurisolatie, Vloerisolatie
EnergielabelC

Indeling

Aantal verdiepingen3
Aantal kamers5
Aantal slaapkamers4
Aantal badkamers1

Maandlasten

Ligging Vredenseweg 128

Voorzieningen

Centraal gelegen informatie over de buurt

Aantal inwoners

In de gemeente

28.912

Vergelijkbaar woningaanbod